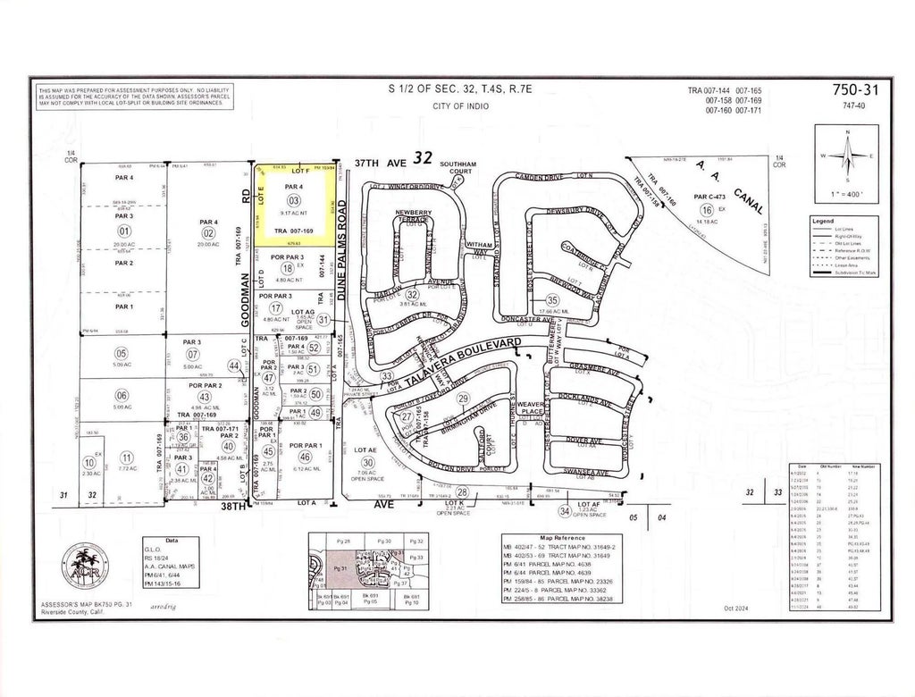
About Dunes Palm Rd
Perhaps the last chance to buy affordable acreage in Indio. 9.17 acres zoned DET-3 which allows 3 homes per acre plus ADUs (Accessory Dwelling Units) if desired. Minimum lot size is 10,000 s.f. Parcel is across the street form Talavera (820 homes) and close to Sun City Palm Desert. Owner motivated. Listing broker does not warrant the accuracy of the information provided. Buyers to do their own research and due diligence.
Features of Dunes Palm Rd
| MLS® # | 219138014 |
|---|---|
| Price | $695,000 |
| Acres | 9.17 |
| Type | Land |
| Status | Active |
Community Information
| Address | Dunes Palm Rd |
|---|---|
| Area | 309 - Indio North of I-10 |
| Subdivision | Not Applicable |
| City | Indio |
| County | Riverside |
| State | CA |
| Zip Code | 92203 |
Amenities
| View | Mountain(s) |
|---|---|
| Has Pool | No |
Interior
| Fireplace | No |
|---|
Exterior
| Lot Description | 399445 |
|---|
Additional Information
| Short Sale | No |
|---|---|
| RE / Bank Owned | No |
Listing Details
| Agent | Gene Snowberg |
|---|---|
| Office | Gene Snowberg Real Estate |
